समाचार
-
अमेरिका– अमेरिकाका निवर्तमान ...
-
अमेरिका– अमेरिकी सेना ...
-
अमेरिका–अमेरिकामा कोरोनाको ...
-
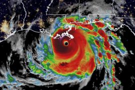
अमेरिका– अमेरिकाको लुजियाना ...
-
अमेरिका– अफगानिस्तानमा ...
-
अमेरिका– अमेरिकाले ...
-
जिन्दगी दौडिरहेको छ खुसी ...
-
अमेरिका– शरणार्थीको रुप धारण ...
-
अमेरिका– अमेरिकाको संसद भवनमा ...
-
अमेरिका– अमेरिकामा एक भारतीय ...